Il bacino del Pacifico occidentale ospita in queste ore la tempesta più estrema attiva sulla Terra: il Super Tifone Sinlaku, sistema di Categoria 5 equivalente con raffiche di vento stimate fino a 335 km/h e venti massimi sostenuti nell’ordine dei 280-295 km/h. La traiettoria attuale punta direttamente verso l’isola di Guam — territorio statunitense abitato da circa 150.000 persone — e verso le Isole Marianne Settentrionali, con il massimo impatto atteso entro le prossime 24-36 ore.
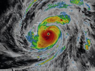
Dal punto di vista meteorologico, Sinlaku presenta una struttura eccezionale: le immagini satellitari mostrano un occhio perfettamente definito e sgombro da nubi, circondato da un eyewall (muro dell’occhio) ad altissimo sviluppo verticale e da bande nuvolose spiraliformi molto estese. La pressione centrale stimata al picco di intensità ha toccato valori intorno agli 888-905 hPa, rendendolo il terzo sistema tropicale in aprile nella storia documentata a scendere sotto i 900 hPa, e il secondo tifone più potente mai registrato nel Pacifico settentrionale nei primi quattro mesi dell’anno.
I modelli previsionali indicano una traiettoria nord-occidentale a circa 17 km/h, con il punto di massima vicinanza alle Marianne atteso per il 14 aprile. Secondo le proiezioni del Joint Typhoon Warning Center (JTWC) e della Japan Meteorological Agency (JMA), il sistema dovrebbe mantenere un’intensità attorno ai 250 km/h di venti sostenuti al momento del passaggio sulle isole, con raffiche ancora di gran lunga superiori. Le onde significative associate al sistema raggiungono altezze fino a 13,1 metri (43 piedi).
L’impatto previsto sui territori esposti è multidimensionale. Ai venti uraganici si sommano precipitazioni torrenziali stimate tra 300 e 500 mm, capaci di innescare alluvioni e dissesti idrogeologici. Una criticità primaria è rappresentata dallo storm surge — l’innalzamento anomalo del livello del mare causato dalla depressione barometrica e dai venti — con mareggiate potenzialmente devastanti sulle coste basse. Le autorità locali hanno già attivato i protocolli di emergenza: chiusura di scuole e porti, sospensione del traffico aereo e predisposizione di rifugi sicuri per la popolazione.
L’intensificazione esplosiva di Sinlaku è avvenuta grazie a un insieme di condizioni termodinamiche favorevoli: temperature superficiali del mare prossime ai 30°C, assenza quasi totale di wind shear verticale e un canale di deflusso (outflow) ben organizzato in tutti i quadranti. Questi fattori hanno permesso al sistema di raggiungere la piena maturazione in tempi rapidi, già nelle prime settimane di aprile, ovvero all’inizio — non al culmine — della stagione dei tifoni nel Pacifico occidentale.
La formazione di un Super Tifone di questa magnitudo in aprile solleva interrogativi climatologici rilevanti. La comunità scientifica non imputa un singolo evento al cambiamento climatico in modo diretto, ma concorda sul fatto che oceani sempre più caldi stiano ampliando la finestra stagionale entro cui queste super-tempeste possono svilupparsi con intensità estrema. Sinlaku rappresenta, in tal senso, un indicatore preoccupante: una anomalia statistica che potrebbe diventare, nei decenni futuri, sempre meno rara. Per restare sempre aggiornato scarica GRATIS la nostra App!
