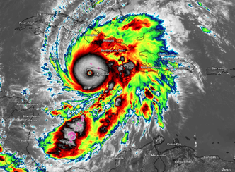
La Giamaica affronta ore drammatiche mentre l’uragano Melissa, una tempesta classificata di categoria 5, si avvicina con una potenza devastante. Le immagini che giungono dall’isola mostrano l’impatto crescente del ciclone tropicale, con piogge torrenziali, venti fino a 295 km/h e onde che si infrangono sulle coste sudoccidentali. Le autorità locali e il National Hurricane Center (NHC) statunitense confermano che non sono attesi indebolimenti significativi del sistema prima del suo impatto diretto sulla terraferma.
L’emergenza elettrica è già iniziata: secondo il ministro giamaicano dell’Energia e dei Trasporti, Daryl Vaz, circa 240.000 utenze sono senza corrente. Il 35% della popolazione — aziende e abitazioni — è al buio, mentre alcune delle principali sottostazioni ad alta tensione sono state temporaneamente disattivate per motivi di sicurezza. In molte aree, la rete elettrica ha ceduto sotto la forza del vento e della pioggia. Vaz ha rassicurato che la maggior parte degli ospedali dell’isola continua a ricevere energia, tranne quelli nelle parrocchie di Manchester e St. Elizabeth, ora operativi grazie ai generatori d’emergenza. “Non è previsto alcun blackout preventivo su scala nazionale”, ha precisato il ministro, ma le condizioni restano in costante peggioramento.
Preoccupazioni crescenti anche a Cuba, dove la compagnia statale Union Electrica (UNE) ha annunciato la chiusura controllata di tre centrali elettriche nelle province orientali: due termoelettriche a Felton e Rente, e una centrale a combustibile a Moa. La decisione è stata presa per proteggere l’integrità del Sistema Elettrico Nazionale (SEN) in vista dell’impatto diretto del ciclone. In un Paese già messo in ginocchio da una crisi energetica che dura da oltre un anno, la chiusura di queste strutture ridurrà ulteriormente la già limitata capacità produttiva. La UNE ha inoltre confermato che interromperà in via precauzionale diverse reti elettriche nelle regioni più esposte, per evitare danni strutturali irreversibili.
Sull’isola cubana, le attenzioni si concentrano anche sulla base navale statunitense di Guantanamo, dove alle circa 3.000 persone residenti è stato ordinato di mettersi al riparo e di prepararsi con scorte di cibo e acqua per almeno tre giorni. Il Pentagono ha già attivato tutte le misure di emergenza previste in caso di eventi climatici estremi.
Nel frattempo, il Comando Meridionale dell’esercito statunitense (SOUTHCOM) ha annunciato lo spostamento delle sette navi militari operative nel Mar dei Caraibi, dislocate nell’area da agosto come parte di una missione di contrasto al traffico di stupefacenti. Le imbarcazioni, insieme ai caccia F-35 di supporto, sono state allontanate dalle rotte previste dell’uragano. Il comando ha garantito che le forze “restano pienamente operative e pronte a rispondere a qualunque missione, anche in condizioni meteo estreme”.
Con il passare delle ore, cresce la tensione in tutta la regione caraibica. L’uragano Melissa, per ora, non dà segni di cedimento. Il suo arrivo su Cuba, dopo la Giamaica, potrebbe aggravare ulteriormente una crisi già profonda, con ricadute sul fragile equilibrio energetico e logistico dell’intera area. Per restare sempre aggiornato scarica GRATIS la nostra App!
