L’uragano Melissa si è trasformato nella tempesta più potente del pianeta nel 2025, raggiungendo la categoria 5 sulla scala Saffir-Simpson con venti sostenuti fino a 280 chilometri orari e raffiche ancora più violente. Il ciclone si sta avvicinando pericolosamente alla Giamaica, dove è previsto un impatto nelle prime ore di martedì 28 ottobre che potrebbe segnare la tempesta più devastante nella storia documentata dell’isola caraibica, ovvero dal 1851, anno in cui sono iniziate le rilevazioni sistematiche degli uragani. Melissa rappresenta il terzo uragano di categoria 5 registrato nell’Atlantico durante questa stagione, rendendo il 2025 il secondo anno con il maggior numero di tempeste di massima intensità mai registrate, superato soltanto dalla catastrofica stagione del 2005 che incluse l’uragano Katrina.
La categoria 5 costituisce il livello più elevato della scala di classificazione degli uragani, indicando venti superiori a 252 chilometri orari capaci di provocare distruzioni catastrofiche. Soltanto una manciata di strutture può sopravvivere intatta a simili condizioni, e unicamente se collocate ad almeno cinque-otto chilometri dalla costa. Gli edifici in cemento armato o acciaio con caratteristiche costruttive particolarmente resistenti hanno qualche possibilità di reggere l’impatto, mentre la maggior parte delle abitazioni tradizionali rischia il collasso totale. Il primo ministro giamaicano Andrew Holness ha dichiarato con drammatica chiarezza che “non esiste alcuna infrastruttura nella regione in grado di resistere a un uragano di categoria 5”, aggiungendo che “la questione ora riguarda la velocità della ripresa, questa è la sfida”.
Sebbene i venti violenti di Melissa abbiano ricevuto notevole attenzione per ragioni comprensibili, l’impatto della tempesta sull’acqua potrebbe rivelarsi ancora più catastrofico e letale. Il National Hurricane Center degli Stati Uniti ha avvertito che Melissa scaricherà quantità impressionanti di precipitazioni sui Caraibi settentrionali, con la Giamaica destinata a subire le conseguenze più gravi. Le previsioni indicano accumuli di pioggia compresi tra 50 e 75 centimetri su gran parte del territorio giamaicano, con picchi isolati che potrebbero superare il metro di precipitazioni nelle zone montuose orientali dell’isola, in particolare nella regione delle Blue Mountains, che si elevano fino a 2256 metri di altitudine.
Questo tipo di accumulo pluviometrico straordinario significa inondazioni improvvise e frane potenzialmente letali su larga scala. Le Blue Mountains, che dominano il terzo orientale della Giamaica, presentano pendii estremamente ripidi che si innalzano dalla pianura costiera in appena sedici chilometri, producendo uno dei gradienti più accentuati al mondo. Questa conformazione geologica, combinata con terreni già saturi dalle piogge di ottobre, crea condizioni ideali per smottamenti e colate di fango devastanti. Gli esperti hanno evidenziato che le aree disboscate per scopi agricoli risultano particolarmente vulnerabili, avendo perso la vegetazione che un tempo stabilizzava il suolo con i propri apparati radicali.
Nel sud di Haiti le precipitazioni potrebbero raggiungere i 30 centimetri, mentre alcune zone di Cuba orientale potrebbero registrare fino a 63 centimetri di pioggia, quantità sufficienti a provocare inondazioni diffuse e frane. Il National Hurricane Center ha specificato che per Cuba orientale si prevedono accumuli totali compresi tra 25 e 50 centimetri, con massimi locali fino a 63 centimetri, risultando in allagamenti lampo potenzialmente catastrofici e numerose frane. Le Bahamas sud-orientali potrebbero ricevere tra 13 e 25 centimetri di precipitazioni tra martedì e mercoledì, con conseguenti allagamenti localizzati.
Oltre alle piogge torrenziali, i potenti venti terrestri di Melissa causeranno un’ondata di tempesta alta fino a quattro metri lungo la costa meridionale della Giamaica nelle prime ore di martedì, rappresentando una minaccia mortale per le comunità costiere. Il fenomeno dello storm surge, ovvero l’innalzamento anomalo del livello del mare causato dalla bassa pressione atmosferica e dai venti ciclonici, potrebbe spingere l’acqua ben oltre l’entroterra, isolando completamente intere comunità. Il National Hurricane Center ha precisato che le altezze massime dell’onda di tempesta potrebbero raggiungere tra 2,7 e 4 metri sopra il livello del suolo normale, in prossimità e a est del punto dove il centro di Melissa toccherà terra, accompagnate da onde distruttive di grande dimensione.
Particolare preoccupazione destano le aree costiere della capitale Kingston, situata sulla costa meridionale dell’isola, dove si concentrano infrastrutture critiche come l’aeroporto internazionale principale e centrali elettriche. Jonathan Porter, meteorologo capo di AccuWeather, ha sottolineato che “questo può trasformarsi rapidamente in una vera crisi umanitaria, e ci sarà probabilmente bisogno di molto supporto internazionale”. Il ministro del governo locale Desmond McKenzie ha dichiarato durante una conferenza stampa che “molte di queste comunità non sopravvivranno a queste inondazioni”, aggiungendo che “Kingston è bassa, estremamente bassa. Nessuna comunità di Kingston è immune dalle inondazioni”.
Lungo la costa nord-occidentale della Giamaica, nei pressi di Montego Bay, esiste la possibilità di un’onda di tempesta compresa tra 30 centimetri e un metro sopra il livello del suolo. Per Cuba sud-orientale si prevede un’onda di tempesta significativa nella tarda serata di martedì o mercoledì, con altezze massime che potrebbero raggiungere tra 2 e 3,3 metri sopra i normali livelli di marea, sempre accompagnate da onde distruttive. Nelle Bahamas sud-orientali e nelle isole Turks e Caicos è possibile un’onda di tempesta compresa tra 1,2 e 1,8 metri sopra il suolo normalmente asciutto mercoledì.
Uno degli aspetti più preoccupanti dell’uragano Melissa riguarda la sua velocità di spostamento estremamente ridotta, che ne amplifica notevolmente gli effetti distruttivi. Secondo gli ultimi aggiornamenti del National Hurricane Center, Melissa si muove verso ovest-nord-ovest a una velocità di appena 5-6 chilometri orari, una lentezza che prolunga esponenzialmente l’esposizione delle aree colpite a condizioni meteorologiche estreme. Jamie Rhome, vicedirettore del National Hurricane Center, ha evidenziato che “questo potenziale estremo di precipitazioni, dovuto al movimento lento, creerà un evento catastrofico per la Giamaica”.
Un uragano che si muove lentamente significa ore e ore di pioggia incessante sulle stesse zone, con accumuli che crescono in modo esponenziale e aumentano drasticamente il rischio di saturazione del terreno, straripamento dei corsi d’acqua e collasso delle infrastrutture di drenaggio urbano. Brian Tang, professore di scienze atmosferiche presso l’Università di Albany, ha spiegato che “non si tratta di un’area urbana dove l’acqua semplicemente defluisce lentamente. Si scarica molto rapidamente lungo i pendii”, riferendosi al particolare pericolo rappresentato dal terreno montuoso della Giamaica.
La traiettoria prevista indica che il centro di Melissa si avvicinerà o attraverserà la Giamaica nella notte tra lunedì e martedì, per poi proseguire verso Cuba sud-orientale nella tarda serata di martedì e infine attraversare le Bahamas sud-orientali mercoledì. Si prevede un graduale spostamento verso nord-ovest e nord durante la giornata di martedì, seguito da un’accelerazione verso nord-est a partire da mercoledì che continuerà almeno fino a giovedì. Il National Hurricane Center ha avvertito di “non avventurarsi all’esterno del rifugio sicuro” e di “non uscire durante il passaggio dell’occhio del ciclone sulla vostra area”, poiché “la velocità di avanzamento di Melissa aumenterà e l’occhio comincerà a muoversi molto rapidamente attraverso l’isola”.
Le autorità giamaicane hanno disposto l’evacuazione obbligatoria di diverse zone costiere vulnerabili e comunità soggette a inondazioni, includendo parti della capitale Kingston. Il primo ministro Andrew Holness ha emesso ordini di evacuazione immediata ai sensi del Disaster Risk Management Act per sette aree particolarmente a rischio: Port Royal a Kingston, Portland Cottage e Rocky Point nella parrocchia di Clarendon, Old Harbour Bay nella parrocchia di St. Catherine, Taylor Land a Bull Bay, New Haven e Riverton City nella parrocchia di St. Andrew. L’ordine impone a tutte le persone nelle aree specificate di evacuare immediatamente per garantire la propria sicurezza.
Il governo ha attivato 881 rifugi in tutto il territorio nazionale per accogliere la popolazione evacuata. Il ministro Desmond McKenzie ha lanciato un appello urgente affinché i cittadini utilizzino queste strutture, sottolineando che “l’unico scopo dei rifugi è la vostra sicurezza” e che “la ripresa personale, comunitaria e nazionale sarà possibile solo se saremo vivi e in salute per affrontarla”. Tuttavia, lunedì sera i funzionari hanno espresso preoccupazione per il fatto che meno di mille persone si trovassero negli oltre 880 rifugi aperti, con stime che indicano circa 50.000 persone che potrebbero dover lasciare le proprie abitazioni.
Alcuni residenti hanno scelto di rimanere nelle proprie case nonostante gli avvertimenti. Roy Brown, residente nella storica area costiera di Port Royal a Kingston, ha dichiarato: “Non mi muovo. Non credo di poter scappare dalla morte”, citando le cattive condizioni e le esperienze negative passate nei rifugi governativi come ragioni della sua riluttanza a partire. Le autorità hanno indicato che la disinformazione potrebbe scoraggiare alcuni residenti dall’utilizzare i rifugi, riconoscendo anche che esistono problemi con le strutture stesse, molte delle quali sono edifici scolastici riconvertiti non originariamente progettati per scopi di evacuazione.
L’uragano Melissa è già stato associato alla morte di almeno sette persone nei Caraibi settentrionali mentre avanzava verso la Giamaica. Le vittime includono tre persone in Giamaica, tre ad Haiti e una nella Repubblica Dominicana, dove un’altra persona risulta ancora dispersa. Ad Haiti, la tempesta ha distrutto colture in tre regioni, includendo quindici ettari di mais in un momento in cui almeno 5,7 milioni di persone, oltre la metà della popolazione del paese, stanno affrontando livelli di fame critici, con 1,9 milioni di questi che affrontano livelli di fame di emergenza. L’Organizzazione delle Nazioni Unite per l’Alimentazione e l’Agricoltura ha dichiarato che “le inondazioni stanno ostruendo l’accesso ai terreni agricoli e ai mercati, mettendo a repentaglio i raccolti e la stagione agricola invernale”.
Nella Repubblica Dominicana, Melissa ha danneggiato oltre 750 abitazioni, sfollando più di 3.760 persone. Le acque alluvionali hanno inoltre interrotto l’accesso ad almeno 48 comunità. Le scuole e gli uffici governativi sono stati chiusi lunedì in quattro delle nove province ancora sotto allerta rossa. La Repubblica Dominicana condivide l’isola di Hispaniola con Haiti, entrambe particolarmente vulnerabili a frane e smottamenti per via dei loro paesaggi montuosi e della loro posizione in una regione sismicamente attiva.
L’aeroporto internazionale Norman Manley di Kingston è stato chiuso alle 20:00 ora locale di domenica. Tutti i porti marittimi della Giamaica sono stati anch’essi chiusi per evitare rischi maggiori. Il governo cubano ha emesso un’allerta uragano per le province di Granma, Santiago de Cuba, Guantánamo e Holguín, oltre a un’allerta di tempesta tropicale per la provincia di Las Tunas. Le forti mareggiate stanno già colpendo la costa meridionale della Cuba orientale, provocando inondazioni da lievi a moderate nelle zone costiere basse, con condizioni marine destinate a deteriorarsi ulteriormente man mano che il meteoro si avvicina.
Melissa ha subito un processo di intensificazione rapida eccezionale durante il fine settimana, passando da tempesta tropicale con venti di 113 chilometri orari sabato mattina a uragano di categoria 4 con venti di 225 chilometri orari entro l’alba di domenica, registrando un aumento di 112 chilometri orari in 24 ore, circa il doppio della soglia che definisce un’intensificazione rapida. Questo tasso di rafforzamento si colloca ai margini estremi di quanto sia mai stato osservato nel bacino atlantico. Lunedì mattina presto, Melissa aveva raggiunto lo status di categoria 5, diventando il 45esimo uragano di categoria 5 mai registrato dal 1851, ma il terzo di questa stagione ciclonica.
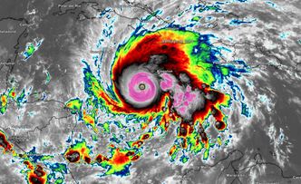
Soltanto un anno nella storia documentata, la devastante stagione degli uragani del 2005 che incluse mostri di categoria 5 come Emily, Katrina, Rita e Wilma, ha mai registrato più di due uragani di categoria 5 in una singola stagione. I cacciatori di uragani che hanno investigato Melissa lunedì hanno riportato una delle raffiche di vento più forti mai registrate, con picchi che secondo alcune fonti hanno raggiunto i 387 chilometri orari, cifre che se confermate rappresenterebbero un record assoluto. Le immagini satellitari dal sistema GOES-19 della NOAA mostrano la potenza di Melissa, con una struttura compatta e un occhio ben definito circondato da dense formazioni nuvolose.
L’ultima analisi indicava Melissa con venti massimi sostenuti di 280 chilometri orari e una pressione centrale minima di 913 millibar, valori che la rendono estremamente pericolosa. Per fare un confronto storico, l’uragano Gilbert, che colpì la Giamaica nel 1988 come tempesta di categoria 4, rappresentava fino ad oggi l’uragano più forte mai registrato a colpire l’isola, con venti sostenuti di 209 chilometri orari al momento del landfall. Melissa supera significativamente quell’intensità, promettendo di stabilire un nuovo e tragico primato nella storia meteorologica giamaicana.
Gli scienziati concordano sul fatto che il cambiamento climatico stia amplificando l’intensità degli uragani attraverso il riscaldamento delle acque oceaniche. Melissa si è alimentata su un ricco serbatoio di acque calde nel Mar dei Caraibi centrale a sud della Giamaica, con temperature superficiali del mare che superano la media per questo periodo dell’anno, attestandosi tra 28 e 30 gradi Celsius, pienamente in grado di sostenere non solo un uragano, ma anche un uragano maggiore. Più l’oceano si riscalda, più energia può trasferirsi in una tempesta. Gli oceani hanno assorbito il 90 percento del calore extra che gli esseri umani hanno pompato nell’atmosfera attraverso le emissioni di gas serra.
Marc Alessi, ricercatore sulla scienza dell’attribuzione climatica presso l’Unione degli Scienziati Preoccupati, ha dichiarato che “il ruolo che il cambiamento climatico ha giocato nel rendere l’uragano Melissa incredibilmente pericoloso è innegabile”. Gli scienziati hanno determinato che le temperature oceaniche calde che hanno alimentato Melissa sono state rese fino a 800 volte più probabili dal riscaldamento globale. Questo fenomeno spiega anche la rapidità con cui Melissa si è intensificato, passando in poco tempo da categoria 1 a categoria 4 e poi a categoria 5. Questo tipo di evoluzione è diventato sempre più frequente negli ultimi anni, con le acque del Golfo del Messico e dell’Atlantico tropicale che presentano temperature costantemente superiori alla media.
Kerry Emanuel, meteorologo intervistato dall’agenzia AFP, ha attribuito l’intensificazione della tempesta proprio al riscaldamento delle temperature oceaniche. Gli esperti hanno da tempo avvertito che i cambiamenti climatici provocati dal riscaldamento globale determineranno un aumento dell’intensità e della frequenza degli eventi meteorologici estremi, comprendendo non soltanto uragani e tempeste, ma anche ondate di caldo e siccità. Brian McNoldy, scienziato specializzato in uragani presso l’Università di Miami, ha scritto che “nessuno tra coloro che vivono lì ha mai sperimentato nulla di simile a ciò che sta per accadere”, sottolineando la natura senza precedenti della minaccia che Melissa rappresenta per la Giamaica.
Il National Hurricane Center ha avvertito che si prevedono “danni estensivi alle infrastrutture, interruzioni prolungate di elettricità e comunicazioni e isolamento delle comunità” in tutta la Giamaica. Gli ospedali pubblici hanno attivato protocolli di emergenza, sospendendo le attività ordinarie per garantire posti letto aggiuntivi. Il ministro della Salute Christopher Tufton ha riferito che alcuni pazienti negli ospedali costieri sono stati trasferiti dal piano terra al secondo piano, “e speriamo che questo sia sufficiente per qualsiasi ondata di tempesta che si verificherà”. Prima dell’arrivo della tempesta erano già stati segnalati frane, alberi caduti e numerosi blackout elettrici, con funzionari giamaicani che avvertono che la pulizia e la valutazione dei danni procederanno lentamente.
Il Dipartimento di Stato degli Stati Uniti ha emesso lunedì allerte di viaggio per disastri naturali per Cuba, Giamaica, Haiti e Bahamas, esortando i cittadini americani a considerare di lasciare il paese mentre i voli erano ancora disponibili, oppure a prepararsi a rifugiarsi sul posto. L’ambasciata statunitense in Giamaica ha comunicato che gli americani dovrebbero essere pronti a rimanere nei rifugi. I magazzini in tutta l’isola erano ben riforniti e migliaia di pacchi alimentari erano stati pre-posizionati per una distribuzione rapida se necessario. Le autorità hanno predisposto piani di emergenza comprendenti la chiusura degli aeroporti e misure per garantire una rapida ripresa post-tempesta, con aziende elettriche e di telecomunicazioni che hanno dispiegato equipaggi specializzati e sistemi di backup.
Il ministro dell’Istruzione giamaicano Dana Morris Dixon ha avvertito in un’intervista alla BBC di una tempesta imminente “come non ne abbiamo mai viste”, spiegando che “abbiamo avuto pioggia per tutto ottobre. Quindi il terreno è già molto saturo. E poi ricevere tanta pioggia significa che avremo inondazioni, inondazioni estese e frane nelle aree montuose”. La ministra ha aggiunto che “abbiamo attivato tutti i nostri rifugi. Tutti sono gratuiti”. Il primo ministro Holness, anticipando le difficoltà che attendono il suo paese, ha dichiarato: “Sono stato in ginocchio in preghiera”, un’immagine che trasmette la gravità della situazione che la nazione insulare si appresta ad affrontare nelle prossime ore. Per restare sempre aggiornato scarica GRATIS la nostra App!
