Il super tifone Fung-wong, conosciuto localmente come Uwan, ha seminato distruzione nel nord delle Filippine tra domenica 9 novembre e lunedì 10 novembre 2025, causando la morte di almeno quattro persone e costringendo oltre 1,4 milioni di abitanti all’evacuazione. La tempesta, classificata come il ventunesimo ciclone tropicale a colpire l’arcipelago filippino nel 2025, ha scaricato la sua furia devastante sull’isola principale di Luzon prima di dirigersi verso il Mar Cinese Meridionale, puntando ora in direzione di Taiwan.
Le autorità meteorologiche filippine hanno elevato il livello di allerta al massimo grado, Signal No. 5, nelle zone costiere sudorientali di Luzon, mentre Manila è stata posta sotto Signal No. 3. Il presidente filippino Ferdinand Marcos Jr. aveva dichiarato lo stato di emergenza nazionale già prima dell’arrivo del tifone, consapevole della doppia calamità che si stava abbattendo sul Paese ancora devastato dal precedente tifone Kalmaegi, che solo pochi giorni prima aveva causato almeno 224 vittime nelle province centrali e altre cinque in Vietnam.
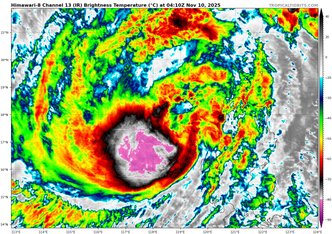
Fung-wong ha toccato terra nella città di Dinalungan, nella provincia di Aurora, alle 21:10 ora locale di domenica sera, con venti sostenuti che raggiungevano i 185 chilometri orari e raffiche fino a 230 chilometri orari. L’estensione della tempesta ha raggiunto dimensioni impressionanti, con una fascia di pioggia e vento che si estendeva per circa 1.600 chilometri, minacciando di coprire quasi due terzi dell’arcipelago filippino composto da oltre 7.600 isole. Le previsioni meteorologiche avevano annunciato precipitazioni superiori ai 200 millimetri in vaste aree di Luzon, con accumuli compresi tra 100 e 200 millimetri nell’area metropolitana di Manila, sollevando gravi preoccupazioni per inondazioni e frane devastanti.
Le prime vittime accertate sono state segnalate già domenica, quando un abitante della provincia orientale di Catanduanes è annegato a causa delle improvvise inondazioni causate dalle piogge torrenziali, mentre un’altra persona ha perso la vita nella città di Catbalogan, nella provincia orientale di Samar, quando la sua abitazione è crollata sotto la violenza della tempesta. Lunedì mattina, il bilancio è salito a quattro vittime dopo che una frana ha sepolto una casa nella città settentrionale di Kayapa, nella provincia di Nueva Vizcaya, uccidendo due bambini. Le autorità della Difesa Civile hanno riferito che almeno due altre persone sono rimaste ferite negli eventi collegati al passaggio del tifone.
MASSIVE waves and a tidal surge slammed into the coastal areas of Gigmoto, Catanduanes in the Philippines this morning.
— Volcaholic 🌋 (@volcaholic1) November 9, 2025
Super Typhoon Fung-Wong (UwanPH) has now made landfall in Dinalungan, Aurora.
📹 Dyves Turado pic.twitter.com/XEgqt5OiNV
Bernardo Rafaelito Alejandro IV, alto funzionario dell’Ufficio della Difesa Civile, ha dichiarato durante un briefing con i media che, sebbene le prime indicazioni suggeriscano che il bilancio delle vittime potrebbe rimanere relativamente contenuto, i danni alle infrastrutture sono stati significativi. Almeno 1.000 abitazioni hanno subito danni, mentre circa 132 villaggi nel nord dell’isola sono stati allagati, con alcuni residenti rimasti intrappolati sui tetti delle loro case mentre i livelli dell’acqua salivano rapidamente. Nelle zone più colpite della provincia di Aurora, dove Fung-wong ha fatto il suo primo landfall, almeno tre città sono rimaste isolate a causa di frane che hanno bloccato le strade principali, rendendo impossibile l’accesso per i soccorsi e le valutazioni dei danni.
Patrick Alexis Angara, vice-governatore della provincia di Aurora, ha confermato lunedì mattina che le operazioni di valutazione e sgombero delle strade erano in corso, ma le condizioni meteo avverse e i detriti hanno ostacolato significativamente gli sforzi di soccorso. Geofry Parrocha, operatore dei soccorsi nella cittadina di Dipaculao, ha raccontato che molte case hanno subito gravi danneggiamenti e che alcune delle principali arterie stradali sono rimaste impraticabili a causa di smottamenti del terreno, mentre l’energia elettrica non era ancora stata ripristinata lunedì mattina. Aurora Taay, sindaco della città di Dingalan, ha riferito attraverso una diretta Facebook che numerose abitazioni e imbarcazioni lungo la costa sono state distrutte dall’impatto delle onde massicce generate dalla tempesta.
Whoahh! Strong winds from typhoon typhoon Fung-wong (UwanPH) rocking the suspension bridge in Camaligan town, Camarines Sur in the Philippines this morning 👀
— Volcaholic 🌋 (@volcaholic1) November 9, 2025
📹 Fronie Amador pic.twitter.com/c60LRC0cBL
Le interruzioni di corrente hanno colpito duramente l’infrastruttura elettrica delle Filippine, con circa tre milioni di famiglie rimaste senza energia elettrica domenica a causa del passaggio del tifone. Lunedì, la National Electrification Administration ha comunicato che le valutazioni erano ancora in corso, mentre almeno 50 linee di trasmissione sono rimaste fuori servizio. Le autorità hanno inoltre riferito che almeno 155 città e comuni nel Paese stavano ancora attendendo il ripristino dell’elettricità dopo l’assalto di Uwan. Romeo Mariano, residente nella provincia di Isabela che ha cercato rifugio con sua nonna nella loro abitazione durante il passaggio della tempesta, ha raccontato che non sono riusciti a dormire per tutta la notte a causa del vento che martellava le lamiere del tetto e dei rami degli alberi che cadevano incessantemente, scoprendo l’entità dei danni solo al mattino quando sono usciti per ispezionare la proprietà.
💔 #AYEL_INSIGHT | Quand la mer emporte tout, même le silence
— Enock LUBONO AYEL (@EnockLubono) November 10, 2025
À #Tambognon, #Viga, dans la province meurtrie de #Catanduanes 🇵🇭, le super typhon #Uwan (Fung-Wong) n’a pas seulement détruit des maisons. Il a brisé des vies, effacé des visages, noyé des rires d’enfants dans le… pic.twitter.com/cCZCsM0USe
Le operazioni di evacuazione preventiva hanno coinvolto più di 1,4 milioni di persone provenienti da 12 diverse regioni, secondo quanto riferito dall’Ufficio della Difesa Civile. Circa 318.000 individui si trovavano ancora nei centri di evacuazione lunedì, mentre gli altri erano stati ospitati presso le case di parenti o in rifugi temporanei allestiti dalle autorità. Le immagini diffuse dalla Guardia Costiera filippina nella provincia di Camarines Sur hanno mostrato famiglie che trasportavano borse ed effetti personali mentre venivano trasferite dalle navi passeggeri ai camion in attesa per essere portate nei rifugi temporanei. Tutte le classi nell’area metropolitana di Manila, che ospita quasi 15 milioni di residenti, sono state sospese fino a martedì, insieme alla chiusura della maggior parte degli uffici governativi.
Il settore del trasporto aereo ha subito pesanti conseguenze, con oltre 400 voli prevalentemente domestici cancellati tra il 9 e il 12 novembre, secondo quanto comunicato dall’Autorità per l’Aviazione Civile delle Filippine. Più di 325 voli nazionali e 61 voli internazionali sono stati annullati nel corso del fine settimana e fino a lunedì. La Guardia Costiera ha vietato alle imbarcazioni di avventurarsi in mare aperto a causa delle condizioni marine pericolose, lasciando più di 6.600 pendolari e lavoratori del settore cargo bloccati nei porti.
Gilberto Teodoro Jr., segretario alla Difesa delle Filippine che supervisiona le agenzie di risposta alle emergenze e le forze armate, aveva lanciato un allarme sabato in dichiarazioni televisive, avvertendo le persone nelle aree colpite del potenziale impatto catastrofico di Fung-wong e invitandole a evacuare i villaggi ad alto rischio prima che fosse troppo tardi. Secondo l’Ufficio della Difesa Civile delle Filippine, più di 30 milioni di persone avrebbero potuto essere esposte ai pericoli posti dal tifone. Rafaelito Alejandro, alto funzionario della Protezione Civile, aveva confermato le cifre dell’esodo durante una conferenza stampa precedente all’arrivo della tempesta, sottolineando che l’impatto si stava già facendo sentire soprattutto nella provincia di Catanduanes, dove l’occhio della tempesta era più vicino.
Il tifone Fung-wong rappresenta il ventunesimo ciclone tropicale a colpire le Filippine nel 2025, uno in più rispetto alla media annuale di venti tempeste che tipicamente investono l’arcipelago. La tempesta è arrivata solo pochi giorni dopo che il tifone Kalmaegi aveva devastato le province centrali, causando oltre 224 vittime nelle Filippine e altre cinque in Vietnam la settimana precedente. Kalmaegi aveva costretto all’evacuazione più di 525.000 persone, danneggiato o distrutto 8.700 abitazioni, con segnalazioni di 153 morti e 86 dispersi, principalmente nella provincia di Cebu. Il governo aveva dichiarato uno stato di calamità nazionale, con il traffico aereo e marittimo significativamente interrotto e migliaia di persone rimaste bloccate, mentre le interruzioni di corrente e i danni alle linee di trasmissione avevano portato a diffuse interruzioni dei servizi di rete.
Le Filippine, situate lungo la cosiddetta cintura dei tifoni nel Pacifico e all’interno dell’Anello di Fuoco del Pacifico, sono uno dei Paesi più esposti alle catastrofi naturali al mondo. La nazione è visitata in media da 20 tifoni ogni anno, cinque dei quali sono distruttivi. La sua posizione geografica lungo l’Anello di Fuoco rende il Paese vulnerabile a frequenti terremoti ed eruzioni vulcaniche, mentre l’ambiente fisico contribuisce all’elevata suscettibilità a tsunami, innalzamento del livello del mare, mareggiate, frane, inondazioni improvvise e siccità. Almeno il 60 percento del territorio del Paese è esposto a molteplici rischi naturali e il 74 percento della popolazione è vulnerabile al loro impatto. Negli ultimi tre anni, le Filippine sono state classificate come il Paese più esposto ai disastri al mondo, subendo frequenti devastazioni da inondazioni, tifoni, terremoti e attività vulcanica.
Il dottor Teresito Bacolcol, capo dell’agenzia vulcanica filippina Phivolcs, aveva dichiarato durante un briefing stampa in ottobre che i filippini stavano vivendo una stanchezza da disastri a causa dei tifoni, delle eruzioni vulcaniche minori e dei terremoti, esortando i cittadini ad accettare la nostra realtà che terremoti, attività vulcanica e tsunami si verificheranno periodicamente. L’appello di Bacolcol era chiaro: invece di farsi prendere dal panico, la popolazione deve prepararsi adeguatamente alle calamità naturali che ciclicamente colpiscono il territorio nazionale.
Mentre Fung-wong si allontanava dalle Filippine attraverso il Mar Cinese Meridionale lunedì mattina, l’attenzione si è rapidamente spostata verso Taiwan, dove le autorità meteorologiche hanno iniziato a emettere avvisi e allerte per l’imminente arrivo della tempesta. Secondo la Central Weather Administration di Taiwan, il tifone si trovava a circa 580 chilometri a sud di Eluanbi, la punta meridionale di Taiwan, alle 2 del mattino di lunedì, muovendosi verso nord-ovest a una velocità di 15 chilometri orari. I venti sostenuti massimi hanno raggiunto i 126 chilometri orari, con raffiche fino a 162 chilometri orari e un raggio della tempesta di 250 chilometri.
La Central Weather Administration ha previsto che dalla sera di lunedì fino a martedì si sarebbero verificate piogge intense nel nord, nell’est e nella penisola di Hengchun, mentre mercoledì anche il centro e il sud di Taiwan avrebbero potuto vedere piogge forti o torrenziali. Le previsioni indicavano che entro giovedì la tempesta si sarebbe indebolita e allontanata, con le precipitazioni che si sarebbero attenuate nella maggior parte delle regioni ad eccezione del nord, dove avrebbero potuto persistere rovesci intensi sparsi. L’agenzia meteorologica ha affermato che la traiettoria e l’intensità di Fung-wong rimanevano incerte, ma si prevedeva che il tifone si sarebbe avvicinato maggiormente a Taiwan sul lato occidentale tra il 12 e il 13 novembre.
Un avviso marittimo per il tifone Fung-wong poteva essere emesso già lunedì, secondo la Central Weather Administration, mentre un avviso terrestre era previsto per martedì. I meteorologi hanno indicato che il tifone avrebbe potuto toccare terra in qualsiasi punto della costa occidentale di Taiwan tra mercoledì sera e giovedì mattina, con piogge che avrebbero probabilmente avvolto l’intero Paese dopo il fine settimana. Secondo le previsioni dell’agenzia PAGASA delle Filippine, Fung-wong avrebbe dovuto muoversi verso lo Stretto di Taiwan, indebolendosi prima del landfall nella parte occidentale di Taiwan giovedì, per poi perdere rapidamente forza prima di emergere sulle acque delle Isole Ryukyu come un debole sistema tropicale.
La Central Weather Administration ha previsto venti fino a forza 8 o superiore sulla scala Beaufort da Tainan verso nord, inclusa la costa settentrionale di Keelung, l’est, la penisola di Hengchun e le isole al largo. Da Miaoli a Changhua, la penisola di Hengchun e Penghu, i venti avrebbero potuto raggiungere fino a forza 11. Onde superiori ai tre metri erano previste lungo la costa settentrionale di Keelung, Taiwan orientale, la costa sudoccidentale, la penisola di Hengchun e Penghu, mentre le onde avrebbero potuto raggiungere oltre sei metri nelle acque sudorientali, con le autorità che hanno consigliato al pubblico di evitare le attività in riva al mare.
Le temperature lunedì erano previste oscillare tra 22 e 24 gradi Celsius nel nord di Taiwan e nella contea di Yilan, mentre le regioni centrali e meridionali avrebbero potuto vedere massime diurne tra 30 e 32 gradi Celsius. Il meteorologo indipendente Wu De-rong ha osservato che l’impatto più forte della tempesta si sarebbe fatto sentire martedì, con il nord e l’est di Taiwan che avrebbero affrontato piogge intense, aggiungendo che le condizioni avrebbero dovuto gradualmente migliorare da giovedì e che cieli da soleggiati a nuvolosi erano previsti tornare a livello nazionale entro sabato. Dalla sera di lunedì a martedì, gli effetti combinati delle bande esterne del tifone e dei forti venti di maestrale nordorientali avrebbero probabilmente portato forti precipitazioni nelle aree costiere di Keelung, nell’area della Grande Taipei, nella metà orientale di Taiwan e nella penisola di Hengchun al sud.
Le autorità taiwanesi hanno prontamente disposto la chiusura di scuole e uffici come misura precauzionale in vista dell’arrivo di Fung-wong. L’Osservatorio di Hong Kong ha stimato la forza attuale della tempesta a 155 chilometri orari e ha previsto un potenziale landfall a Taiwan intorno a mercoledì e giovedì. Secondo le previsioni internazionali, entro le 4 del mattino di giovedì la tempesta sarebbe dovuta trovarsi sulle acque nordorientali di Taiwan e indebolirsi a 61-74 chilometri orari. L’Agenzia Meteorologica del Giappone ha riportato venti sostenuti attuali di 126 chilometri orari.
Hong Kong ha emesso un bollettino di allerta per ciclone tropicale, Signal No. 1, con le previsioni che indicavano che Fung-wong avrebbe mantenuto una distanza di oltre 600 chilometri dalla città lunedì 10 novembre. Secondo le proiezioni attuali, Fung-wong avrebbe gradualmente virato verso nord sulla parte nordorientale del Mar Cinese Meridionale, avvicinandosi maggiormente a Hong Kong tra la notte di martedì e mercoledì 12 novembre in un primo momento. La Taipower, l’azienda elettrica nazionale di Taiwan, ha adottato misure per minimizzare i potenziali danni causati dal tifone Fung-wong.
Gli scienziati hanno avvertito che eventi meteorologici estremi come Kalmaegi e Fung-wong possono solo diventare più frequenti con l’aumento delle temperature globali. Ben Clarke, ricercatore specializzato in eventi meteorologici estremi presso la Grantham Research on Climate and Environment di Londra, ha dichiarato che le temperature della superficie oceanica nel Pacifico occidentale settentrionale e nel Mar Cinese Meridionale sono eccezionalmente elevate, aggiungendo che i tifoni esibiscono maggiore forza e precipitazioni a causa di queste temperature elevate, una tendenza fortemente associata al riscaldamento globale indotto dall’uomo. Sebbene collegare un singolo evento meteorologico direttamente al cambiamento climatico sia complesso, gli scienziati spiegano che temperature più calde della superficie del mare possono accelerare l’evaporazione e fornire più carburante per i cicloni tropicali.
Il cambiamento climatico intensifica la forza dei tifoni principalmente aumentando le temperature della superficie oceanica e incrementando l’umidità nell’atmosfera. Le condizioni di La Niña presenti nel Pacifico tropicale aumentano le probabilità di precipitazioni superiori alla norma da ottobre 2025 a febbraio 2026, soprattutto lungo la sezione orientale delle Filippine, a causa dell’aumento della probabilità di attività ciclonica tropicale e della combinazione di sistemi meteorologici portatori di pioggia, che possono causare inondazioni, inondazioni improvvise e frane indotte dalla pioggia nelle aree suscettibili. Mentre il cambiamento climatico non si ritiene aumenti il numero complessivo di uragani, tifoni e cicloni, le temperature oceaniche più calde e un’atmosfera più calda, esacerbate dal cambiamento climatico, potrebbero intensificare le tempeste che si formano, portando a velocità del vento più elevate, precipitazioni più severe e un rischio maggiore di inondazioni costiere.
Il World Food Programme ha mobilitato 60 camion per trasportare oltre 265.000 pacchi alimentari familiari, sufficienti per sostenere 1,3 milioni di persone nelle regioni di Caraga, Visayas Centrali e Visayas Orientali. L’assistenza alimentare è stata fornita in risposta alla richiesta del Dipartimento della Protezione Sociale e dello Sviluppo, con valutazioni preliminari nella provincia di Cebu che indicano che decine di migliaia di famiglie, in particolare quelle costrette a cercare rifugio dalla tempesta, richiedono urgentemente cibo, acqua e riparo. Complessivamente, più di 2,4 milioni di persone sono state colpite dalle tempeste recenti, aggravando gli impatti di due recenti terremoti.
L’ambasciata degli Stati Uniti a Manila ha emesso un avviso meteorologico, esortando i cittadini americani nelle regioni potenzialmente colpite a seguire le raccomandazioni locali e le direttive di evacuazione. L’ambasciata ha dichiarato che incoraggia i cittadini statunitensi nelle aree colpite ad aderire alle indicazioni locali, inclusi gli ordini di evacuazione, mentre coloro che scelgono di rimanere nel percorso della tempesta devono prepararsi per venti pericolosi e inondazioni, assicurandosi di avere provviste sufficienti di cibo, acqua e farmaci. La comunità internazionale ha monitorato attentamente la situazione mentre Fung-wong si dirigeva verso Taiwan, consapevole che la tempesta rappresentava una minaccia significativa per una delle economie più avanzate dell’Asia orientale e un importante centro di produzione di semiconduttori e tecnologia. Per restare sempre aggiornato scarica GRATIS la nostra App!
